
Depois de ter provocado destruição nas Filipinas e em Taiwan no começo desta semana, o supertufão Ragasa avança para Oeste em direção à China.
O fenômeno meteorológico está impressionando os cientistas, desde que se tornou o primeiro ciclone de categoria 5 de 2025 na bacia e a tempestade mais forte no planeta até agora no ano. A informação é da MetSul Meteorologia.
Neste início de outono no Hemisfério Norte, além do Ragasa, o furacão Gabrielle foi elevado, mas à categoria 4.
Por isso, as atenções estão no supertufão Ragasa, — nome derivado da palavra filipina para “movimento rápido” — que, na categoria 5, se juntou ao furacão Erin no Atlântico (16 de agosto) e ao ciclone Errol na costa noroeste da Austrália (16 de abril).
Ainda de acordo com a MetSul, a média global para um ano inteiro entre 1990 e 2024 é de 5,3 tufões de categoria 5; houve cinco em 2024.
Destruição nas Filipinas
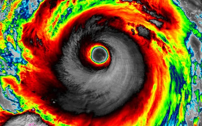
Ragasa atingiu as ilhas Babuyan, no extremo norte do arquipélago filipino, na manhã de segunda-feira (22), horário local.
A tempestade passou com seu olho diretamente sobre a ilha de Calayan, que tem cerca de 10 mil habitantes.
Do total, mais de 8.2 mil moradores buscaram abrigo em centros de evacuação, uma medida que evitou tragédia maior.
Apesar da preparação, autoridades confirmaram ao menos três mortes e dezenas de feridos em Cagayan e Apayao.
Linhas de transmissão foram derrubadas, causando blecautes generalizados, enquanto estradas ficaram intransitáveis devido à queda de árvores e deslizamentos.
Escolas e repartições públicas foram fechadas em 29 províncias, incluindo a capital Manila.
Um dado chamou a atenção da comunidade científica: uma boia registrou pressão mínima de 900,3 hPa ao passar sob o olho do tufão, valor ajustado para aproximadamente 897 hPa, o que espantou os meteorologistas pela grande intensidade da tempestade (que se mede pela pressão mínima e não o vento).
Esse é possivelmente o menor registro direto no Pacífico Noroeste desde o supertufão Meranti, em 2016, que atingiu 883 hPa.
A intensidade extrema confirma Ragasa como um dos ciclones mais violentos das últimas décadas.
Impacto em Taiwan
Um lago de barreira formado há décadas por um deslizamento de terra no leste de Taiwan se rompeu nesta terça-feira (23), quando o supertufão Ragasa castigava a ilha com chuvas torrenciais, inundando uma cidade próxima e deixando mais de 260 pessoas presas, informaram autoridades.
No condado de Hualien, onde as precipitações continuaram nesta terça, o lago de barreira no alto do riacho Mataian se rompeu por volta das 15h locais (4h em Brasília), arrastando uma ponte e avançando sobre uma cidade, disse um oficial local do corpo de bombeiros.
“Em alguns locais, a água chegou temporariamente até o segundo andar de uma casa e alcançou a altura de um andar no centro da cidade, onde o nível já começou a baixar”, afirmou Lee Lung-sheng, vice-chefe do Corpo de Bombeiros do condado de Hualien.
Ainda de acordo com a autoridade, cerca de 263 pessoas ficaram ilhadas e subiram para áreas mais altas quando o rio subitamente encheu.
“Elas não correm perigo imediato, mas estão muito preocupadas com o nível elevado da água”, disse ele, acrescentando que duas pessoas estavam desaparecidas e que uma operação de busca estava em andamento.
Os moradores isolados foram orientados a permanecer no local e aguardar a descida das águas.
Em todo o território taiwanês, mais de 7.600 pessoas foram evacuadas por causa do Ragasa.
Cerca de 3.100 pessoas já haviam sido retiradas preventivamente e levadas para casas de parentes na área próxima ao riacho em Hualien, de acordo com a imprensa local.
Rumo à China
Depois de cruzar o Estreito de Luzon, Ragasa avançou para o Mar do Sul da China.
A trajetória projetada indica aproximação perigosa da costa de Guangdong entre a noite desta terça (23) e a quarta-feira (24), no horário local
Mas, segundo a MetSul, a incerteza meteorológica ainda é grande: uma pequena mudança no rumo pode significar impacto direto sobre centros urbanos como Zhanjiang, de 7 milhões de habitantes, ou uma passagem mais afastada, com danos menores.
Modelos de previsão divergem quanto à intensidade no momento do toque em terra, variando entre categoria 1 e categoria 3.
Ameaça e atividades interrompidas
Ainda segundo informações divulgadas pela MetSul, Hong Kong e partes do sul da China paralisaram suas atividades na noite desta terça-feira (hora local) com a aproximação da tempestade.
Ventos fortes e chuva intensa, obrigaram as autoridades chinesas a fechar escolas e empresas em pelo menos 10 cidades.
O supertufão registrava ventos sustentados máximos de 205 km/h próximos ao seu centro enquanto avançava para oeste pelo Mar do Sul da China, segundo o serviço meteorológico de Hong Kong.
O Observatório de Hong Kong havia emitido mais cedo o sinal T8, o terceiro mais alto nível de alerta para tufões, acrescentando que poderia elevar o aviso já a partir das 23h locais (12h em Brasília).
O segundo mais alto funcionário de Hong Kong, Eric Chan, afirmou anteriormente que o Ragasa representa uma “ameaça séria” comparável aos super tufões de 2017 e 2018, que causaram centenas de milhões em prejuízos materiais.
O Ragasa deve tocar terra nas áreas costeiras centrais e ocidentais de Guangdong dentro de 24 horas, informou nesta terça-feira o escritório provincial de gestão de emergências.
Evacuação
Foi ordenada a evacuação de 400 mil pessoas. As autoridades locais destacaram que, exceto equipes de resgate e trabalhadores de serviços essenciais, “ninguém deve sair de casa sem necessidade”.
Outras cidades da província de Guangdong que adotaram medidas incluem Chaozhou, Zhuhai, Dongguan e Foshan.
Em Hong Kong, as aulas foram suspensas na terça e na quarta-feira, embora a bolsa de valores tenha adotado novas regras neste ano para manter os mercados abertos durante tufões.
Não havia voos partindo de Hong Kong após 13h (horário de Brasília), segundo o site do aeroporto.
A Cathay Pacific já havia informado que mais de 500 voos seriam cancelados.
A Estação Espacial Internacional (ISS) chegou a passar sobre a tempestade em uma órbita no Pacífico com imagens espetaculares.
Segundo o Centro de Avisos de Tufões dos Estados Unidos (JTWC), Ragasa deve enfraquecer gradualmente após interagir com a costa chinesa, mas ainda poderá manter força significativa ao entrar no norte do Vietnã e no Laos por volta de quinta-feira (25).
