Tufão Ragasa deixa 14 mortos e 124 desaparecidos em Taiwan

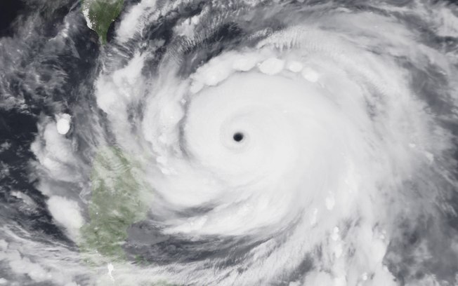
Tufão RagasaNasa/Reprodução

Quatorze pessoas morreram e 124 estão desaparecidas no leste de Taiwan depois que o Lago de Barreira Matai’an transbordou, na cidade de Guangfu, em Hualien, durante as fortes chuvas provocadas pelo Tufão Ragasa. As informações são do Al Jazeera.

O rompimento ocorreu na terça-feira (23), segundo o Departamento de Bombeiros do Condado de Hualien.

Segundo as autoridades locais, a maioria das vítimas era idosa e não conseguiu escapar da elevação rápida das águas. Trinta e quatro pessoas ficaram feridas, enquanto equipes de resgate buscam os desaparecidos.

A enxurrada atravessou a cidade de Guangfu, destruindo uma ponte e arrastando carros. Muitos moradores precisaram se abrigar nos telhados até a enchente baixar, deixando para trás lama e destroços.

A Agência Central de Notícias de Taiwan (CNA) informou que o lago se formou a partir de detritos acumulados em chuvas anteriores e que o maior fluxo ocorreu por volta das 16h30 do horário local (5h30 no horário de Brasília).

Algumas áreas de Hualien registraram mais de 700 mm de precipitação, enquanto regiões do sul e do leste receberam entre 500 e 600 mm.

  • LEIA MAIS: Tufão Kajiki força retirada de cerca de 600 mil pessoas no Vietnã.

Governo mobiliza resposta emergencial

O presidente taiwanês, William Lai Ching-te, afirmou em publicação no Facebook que ministérios e forças armadas foram mobilizados para atuar na emergência e na limpeza após o desastre.

Todos devem permanecer vigilantes. Todo o pessoal da linha de frente de resposta a desastres é instado a colocar a própria segurança em primeiro lugar durante o cumprimento de suas funções”, escreveu.

Na manhã de quarta-feira (24), no horário local, mais de 160 voos foram cancelados no aeroporto internacional de Taoyuan. Linhas de trem e serviços de balsas também foram suspensos em algumas regiões. A maioria dos voos cancelados era de curta distância para Hong Kong e Macau, que reduziram operações ainda na terça-feira diante da aproximação do tufão.

Hong Kong e China em alerta

O Observatório de Hong Kong emitiu o nível máximo de alerta para tufões, o “T10”, com ventos sustentados entre 112 km/h e 153 km/h e rajadas que passaram de 184 km/h.

Os cidadãos devem estar em alerta máximo e atentos a ventos destrutivos. O clima local permanecerá adverso hoje, com pancadas de chuva intensas e trovoadas frequentes”, informou o órgão.

O jornal Hong Kong Free Press noticiou que mais de 700 voos seriam suspensos na região.

Na China continental, a agência estatal Xinhua reportou que a província de Guangdong retirou mais de 1 milhão de pessoas de áreas de risco antes da chegada da tempestade na quarta-feira à tarde.

Adicionar aos favoritos o Link permanente.